はいさい、アイランドKです。
今日は早起き!
8時には起きましたね。
で
雨が降ってこないうちに出かけようと・・。
ちんたらしてたら10時になってしまいましたが行ってきました。
水釜~
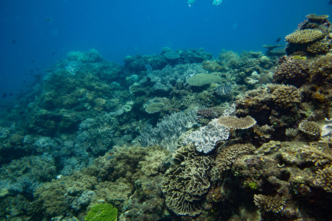
表紙はこちら

かすみの除去はしましたが、あとは整えるのみの編集。
イソバナ
綺麗なのが一つありました。

モーターパラをみながらエントリー

結構な濁りです。

バディの妻久しぶりの水釜
落ち着いています。

お馴染みのブロックを横目に~

ザ・楽園!

アカヒメジ100匹はいたのではないでしょうかね?
で

灯台下のモリモリサンゴ!

ここも景色のいいところです。
で

目印。。

までは分かったんですが、結構探しましたが見つからず。。
替わりに

でん!

一瞬、ひるみましたが・・。
大きさはこれくらい

S120

ツノダシを撮って

S120から、濁り具合とアカヒメジの群れ具合をお届けしてエキジット!
あ~~
やつに久しぶりに会いたい。。
ではでは

にほんブログ村
行けども行けども砂地!!っ。
迷ってましたね。
今日は早起き!
8時には起きましたね。
で
雨が降ってこないうちに出かけようと・・。
ちんたらしてたら10時になってしまいましたが行ってきました。
水釜~
表紙はこちら

かすみの除去はしましたが、あとは整えるのみの編集。
イソバナ
綺麗なのが一つありました。

モーターパラをみながらエントリー

結構な濁りです。

バディの妻久しぶりの水釜
落ち着いています。

お馴染みのブロックを横目に~

ザ・楽園!

アカヒメジ100匹はいたのではないでしょうかね?
で

灯台下のモリモリサンゴ!

ここも景色のいいところです。
で

目印。。

までは分かったんですが、結構探しましたが見つからず。。
替わりに

でん!

一瞬、ひるみましたが・・。
大きさはこれくらい

S120

ツノダシを撮って

S120から、濁り具合とアカヒメジの群れ具合をお届けしてエキジット!
あ~~
やつに久しぶりに会いたい。。
ではでは

にほんブログ村
行けども行けども砂地!!っ。
迷ってましたね。
- カテゴリ:
- with α 6000
- 水釜