(ブルースフィッシングサービス)
に乗船です。
後半の大潮廻り
潮廻りの時間帯が少し悪いかな
?
ポイント到着後、俺は中々当たりがなくひたすら巻き続け掛けてないのは俺と後1人(泣)
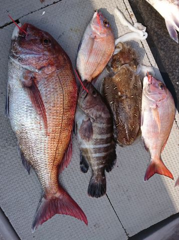
上げ止まり前に何時ものサイズ
追加で似たようなサイズ
潮かわしで釣ってやった感満載のマハタ
【妄想】
(着底後直ぐにゴムを噛み付くも直ぐに放す、そこで俺は直ぐにクラッチ切りもう一度来るかもと思い巻き巻き今度はドラグ調整&巻き速さ調節してフッキング成功(笑)喰わせたァ~~と大満足
?)
その後は、きんこう野郎がボトムから水面まで追いかけてきて船縁でタイラバ抱かせは離されの繰り返しでなんとかネットイン(笑)
下げが行きだした頃に良型の真鯛を追加で終了です
?

もっと数が延びるかと思いましたが
なんとも拾い釣的な感じでした。

そろそろベイトが入ってくるのに期待ですね
?
に乗船です。
後半の大潮廻り
潮廻りの時間帯が少し悪いかな
?ポイント到着後、俺は中々当たりがなくひたすら巻き続け掛けてないのは俺と後1人(泣)
上げ止まり前に何時ものサイズ
追加で似たようなサイズ
潮かわしで釣ってやった感満載のマハタ
【妄想】
(着底後直ぐにゴムを噛み付くも直ぐに放す、そこで俺は直ぐにクラッチ切りもう一度来るかもと思い巻き巻き今度はドラグ調整&巻き速さ調節してフッキング成功(笑)喰わせたァ~~と大満足
?)その後は、きんこう野郎がボトムから水面まで追いかけてきて船縁でタイラバ抱かせは離されの繰り返しでなんとかネットイン(笑)
下げが行きだした頃に良型の真鯛を追加で終了です
?
もっと数が延びるかと思いましたが
なんとも拾い釣的な感じでした。

そろそろベイトが入ってくるのに期待ですね
?
コメント