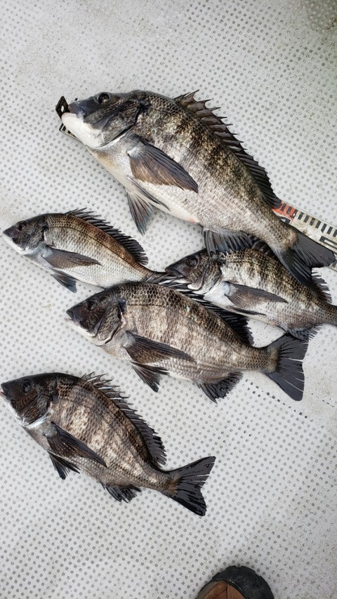
田原市、BTさんの釣果です。堤防、オキアミのふかせ釣りで49㎝の良型を含む5枚の釣果です。このところ、50㎝弱の大型が連発していますね‼️ ...
アジ情報 堤防
幸田町、T田さんの堤防でのアジ情報です。堤防、内側、サビキ釣りで平均25㎝ 30㎝オーバー8匹位トータル40匹位です。下げ潮が良かったそうですが、上げに返してもポッポッアタリがあったそうですよ。Ps.お土産まで頂いき、ありがとうございます。サポンの大きいこと❗楽しみ ...
アジ情報 南堤防
南堤防のアジ情報です。南堤防、サビキ+オキアミ釣りで一番大きい34㎝は、外側だったそうですが、後が続かず、他は内側での釣果です。25㎝~30㎝オーバー6匹を含む30匹位の釣果です。20㎝弱のサイズの群れも回ったそうです。 ...
メバルです。
豊田市、川野さんの釣果です。南堤防、オキアミの釣果で、月が、ガンガンの中、メバル 23、4㎝アジは、尺オーバーです。他にも、アジ、カサゴの釣果があります。メバルは、来週の闇夜に期待したいですね❗ ...
お知らせ
明日の運航は、天気予報が良くない為、状況判断になってしまいそうです。よろしくお願いします。 ...




