初日は風が強く吹きましたが、日が経つにつれて風もおさまり天気も良くなっていきました。
雨は夜に少しだけ降るという感じで比較的過ごしやすい1週間だったと思います。
海の中でも船の上でもにぎやかだった今週の様子をカオリがお伝えしていきます!
初日、環礁の中でも場所によっては船が揺れてしまうほど、風が強く吹きました。
モルディブは環礁なので、海が荒れてしまってものんびり潜れるポイントが必ずあります。
ということで風下!+のんびり潜れる場所!になるのは今週で3週連続トライしているマンタのクリーニングステーション!
ステーションで待っているとマンタが登場!!タイミング良く太陽も出てき始めました。
違う個体がかわるがわるクリーニングしに来ていました。
(Photo by Hiroshi)
2本目はソフトコーラルが素敵なポイントへ潜ります。
潮が弱かったのですが、綺麗に咲いていてくれました。
そしてヨスジフエダイとのコラボレーション♪
(Photo by Hiroshi)
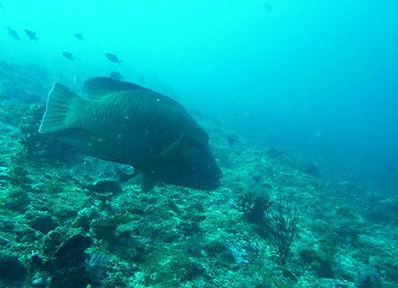
大きなナポレオンも目の前まで泳いできました。
今日はパウダーブルーも狙っちゃいます!
まずはフセインと私がシュノーケリングでリーフを捜索。。。
結構な距離を泳いだのですが見つからず、ドーニーで待つ皆様『シーン。。。』
気を取り直してもう1度、潮上から今度はシャーミーも加わり等間隔に並んで探します。
2度目の捜索からは時間もかからずに見つけることができましたが
等間隔で泳いでいたはずなのに、なぜか3人同じところで手を上げドーニーを呼んでました(笑)
パウダーに吸い寄せられた!?
集まりもよくここ最近のなかでは1番良い!!というくらい大きな玉でした。
(Photo by Hiroshi)
次の日の朝は前日に潜ったところとはまた別のクリーニングステーションでマンタを狙います。
来てくれるまでの間は砂地でハゼを見ながら待っているゲストもいましたが。あれ?皆さんマンタ待ちというのに見ているのは下。。。(笑)
(ドラキュラシュリンプゴビー) (Photo by Sao)
すると、大きな影がみんなの上を通過。そこでやっとマンタがきたのに気がつきました。(笑)
(Photo by Sono)
しばらくの間ステーションにいてくれたので今日も朝からマンタでお腹がいっぱいでした。
(Photo by Sono)
風もおさまったところでアリ環礁へ移動します。
毎週のように行く、ワイドでもマクロでもどっちでも楽しめるポイント。
ですが最近はワイドが狙えない潮が多かったり、狙える潮なのにいなかったり、ハゼやブレニーを見ることが多かったポイントでもあります。
でも、今日は違いました。カレントチェックの時点ではワイドが狙える潮!
久しぶりに??っとガイド陣の期待は増すばかり、そして裏切らなかった!
リーフの上を5匹の大きなグレーリーフシャークが私たちの目の前で何度も回遊してくれました。
(Photo by Sao)
みんなでカレントフックをかけここでダイビングの大半を過ごしました。
他にはナポレオンがいたり、ギンガメアジが溜まっていたり、マンタを見たチームもいました。
安全停止の時には久しぶりにバラクーダの群れも見れました。
意を決してマクロレンズに取り替えたゲストもいました。すみませんでした!
それでも素敵なお写真を。
(Photo by Hiroshi)
もう少し南へ移動し、1本潜った後はビールを我慢し夜に備えます。
最近調子が良いマンタナイトですが、今宵は???
なんと6時に2枚登場!!でも早すぎです。プランクトンがまだライトに集まっていませんよー。
っとプランクトン待ちをしていたら、マンタはいなくなり変わりに来たのが大量のグルクマ。
そのおかげでマンタがそれから現れることはなく、ライトの下には大量のグルクマ。
悔しさと憎しみのあまりMinminさんが取り出したのは、『網』
「全部すくってやる。」 全員(失笑)
でもそこでやってくれるのはさすがです。先輩。。。
(Photo by Sao)
奇跡的に1匹網に入ってくれたので、一口ずつですがみんなで大事にいただきました。
さばいた頭や骨に反応したのかどこからかナースシャークも現れました。
そして夕ご飯を食べてから隣の船にマンタを借りて、ナイトマンタ♡
照らしている水中ライトにもたくさんのプランクトンが集まり、
それを食べに私たちまでパクっとされてしまうんではないかというくらい近くまでマンタが!!
(Photo by Sao)
2枚の大きなマンタが今週も私たちを楽しませてくれました。

(Photo by Hiroshi)
次の日の朝は「フィッシュヘッド」に潜りました。
流れは比較的穏やかで根周りにはグレーリーフがぐるぐると回っていました。
いつもムレハタタテダイの量に感動してしまうのですが今日は潮上でぎゅっと集まってくれていたのでいつにも増して素敵でした。
(Photo by Hiroshi)
そこに大量のクマザサハナムロが上から降ってきます。
(Photo by Sono)
根の上にはベンガルスナッパーとキンギョハナダイ。
360度。どこを見てもお魚いっぱいです。
南下しながらもう1本潜り、ジンベエエリアへと向かいます。
さあ!今週もジンベエザメを見よう!!
雨が降りそうな雲行きですが、風はなく外洋はフラットに。
しかも午後からの捜索だったので探しているボートは私たちと数セキだけ!
ここで出たら貸し切りかも!!なんて思ったのがいけなかったんでしょうか、
ダイビングでも狙って見ましたがこの日はノーチャンスでした。
明日こそ見るぞー!!
今日の朝は環礁内にある根に潜ります。潮が最近の中では流れていましたが、
透明度がとても良かったです。
ヨスジフエダイの群れも潜るごとに数が増えているように思えます。
(Photo by Hiroshi)
そうそう今週もフセインがカエルアンコウを見つけてくれました♪
根の上にボテっとしている黒ーい丸い子。

(Photo by Sao)
外人さんも写真を撮るほど人気者でした。
今日こそジンベエ見ましょうか!っと朝ご飯を食べ終えてから捜索を続けましたが
シュノーケリングでもダイビングでも残念ながらノーチャンスでした。
非常にジンベエザメの出が悪い。
他の多くのサファリも諦めてジンベエエリアを離れているなかで、最終日のプランをゲストの皆様とご相談しました。
結果、今週はここでジンベエを諦めて南マーレの環礁に移動することにしました。
いったいどこにいるんでしょうね。。。残念です。
(Photo by Sso)
1本目はアリ環礁で潜り、2本目からは南マーレへ移動し潜ります。
潮が速く流れていたので全チーム潮上でつかまり、お魚を見ます。
クマザサハナムロに大きなイソマグロとロウニンアジがアタックをかけるシーン。
いったんぎゅっとなったクマザサが今度はばらばらに中層へ戻る時、
その中にマダラトビエイも加わります。
(Photo by Sao)
潮が速いのなんてわすれてしまうほど迫力あるシーンが見れました!
ポイントから母船へ移動している時にイルカの大きな群れに遭遇!!
(Photo by Sono)
水路の中を行ったり来たり、ドーニーの目の前でジャンプしてくれたり。
ドーニーをしばらく止めて観察してみます。
いなくなる気配がなさそう??だったのでシュノーケリングへ行くことに!
ハシナガイルカだったので遊んでくれることはないだろうな。。。
そして入ったとたん、大きな群れは遥か遠くへいってしまい、やっぱり難しいかーっと思っていたら。
ドーニークルーが(もう少しそっち!!)と言うのであきらめず泳いでいると、なんとイルカが私たちの方に向かって来てくれました!!
私たちの足下をたくさんのイルカが通過してくれたので入った全員がイルカを見ることができました♡
3本目は潮がピタっと止まったので、2本目は潮が早くて狙えなかった、コラーレバタフライフィッシュとムスジコショウダイの玉を見ようともう1本同じポイントで潜りました。
ソフトコーラルが満開でお花畑状態。ハナダイも数が増え根の先端がにぎやかに。
(Photo by Hiroshi)
根の上には期待通りの玉ができていました!
(コラーレバタフライフィッシュ) (Photo by Hiroshi)
(ムスジコショウダイ) (Photo by Sono)
このポイントで良く見かける大きなカメが今日は2匹並んでハマサンゴの横にじーっとしていました。
近くによっても逃げない貫禄あるカメでした。
(Photo by Satoko)
夜、何人かのゲストの方はのんびりマクロダイビングもしました。
昼はどこに隠れているんだろうか?たくさんの小さなエビやカニを観察しました。
はさみをシャキーン。
(Photo by Sao)
色がナイトバージョン。
(クマザサハナムロの若魚) (Photo by Hiroshi)
今夜はみなさん最終日。リクエストにお応えしてシャーミーのマジックショーも開催しました♡
(不定期開催なのでぜひ見たい!という方はシャーミーに交渉を。笑)
皆様沢山のお写真どうもありがとうございました!
そしてジンベエをリベンジしにまた是非いらしてくださいね!!
来週はドーニーのメンテナンスのためトリップがおやすみとなりますので次のブログ更新は再来週になります。
お楽しみに♪




















































