毎週出席のおじさん(o^∇^o)ノ
最近、釣りに大ハマりのようです。
この日も沖に向かって走りましたが、いつも行くエリアは大荒れで釣りが成立しそうになかったんで、ウネリの無いエリアに移動する事にしました。
移動先は波も風も少なく、鳥も飛んでて、とてもイイ感じ!
「これは絶対に釣れる!」
そんな話をおじさんとしながらジグをぶっこんで見ると・・・

ブリにワラサにカンパチと
凄まじい活性の青物達!

ちなみにおじさんはスーパーライトなタックルしか用意してなかったんで(笑)
魚を掛けた瞬間から壮絶なファイトが始まる!

ゲストはおじさん一人だったんで、私も思いっきり釣りしました('▽'*)ニパッ♪
PE0.8号でリーダー14ポンド
ロッドはパイレーツで3000円で買った餌釣り用の黄色いオモチャみたいなヤツ
これは私のマダイ専用タックルになってたんだけど
青物の入れ食い時に使用するタックルじゃないですね(笑)

スーパーライトなタックルで二人してドラグをジャージャー出しながら楽しんでいました☆
もしかしたら、こういったタックルだから魚が良く掛かったのかも知れませんが、
多分、ゴツいタックルでも食ったでしょうね。

シオも肥り過ぎて、凄い体高の個体ばかりでした。
二人で空が暗くなるまで遊んで凄まじい釣果☆

もしも人数が4人とかでタックルもしっかりしたモノを使ってたら、とんでもない釣果になってたでしょう!
でも、おじさんと二人で遊んで楽しめたし、持ち帰れない程の釣果だったんで、コレでヨシです☆
お次は、
私自身、久々の衣浦シーバスガイド
シーバスシーズン真っ盛りなんで、久々の出船でも不安はありませんでした。
(大島キャプテンに状況を聞いてたし)
早速、ゲストにキャストしてもらうと・・・
こんな感じ(笑)

デカいのから小さいのまでシーバスは沢山いました!
今日は超久々のゲスト
トップガンに来てくれるのは約8年ぶり

昔、何度も来てくれたゲスト
ルアー釣りも久々だそうで、最初はキャストに戸惑っていましたが、次第にコツを掴み
「やっぱり釣りは楽しいね!」と喜んでくれました☆

クロダイもミノーにアタック!
それにしても、この日はドデカイ魚が多かった!
60~70クラスどころか80センチクラスも良く掛かりました。

このような柱だらけのポイントでモンスターシーバスを掛けると、取り込みはかなり難しい。
ドラグが緩いと走られて柱に根擦れでラインブレイクするし、ドラグが強いとフックが折れたり曲がったり、シーバスの口が切れたり・・・

70センチまでは何匹か獲れましたが、
それ以上のサイズは、この一本だけ獲れました。

あとは逃げられた(`Д´) ムキー!
悔しい思いを何度もしましたが、熟練ゲストのお陰で素晴らしい釣果!

サイズも素晴らしく、シーバスシーズン最高潮!って感じでした。

おわり。
お次は沖の釣果に戻りまして
天狗堂ジギング教室

結果から言うと、今回も良く釣れて、上杉君は良く頑張った!w

ハマチはシラス食ってる時、リアクションで食わす為にヤケクソでジグを巻かないと中々食わないんで、ある程度釣りをやってる人以外は難しかったです。
それでもボイルしてたんで、けっこう釣れた!

マダイはイマイチで
タチウオは相変わらずスッゲー釣れる!

時間いっぱいコレだけ狙ってたら、バカ釣れでしょうね(o^∇^o)ノ

ジギング入門には最適なターゲットです。
けっこうな波で、慣れない皆さんも大変だったようですが

終わってみれば今回も良い釣果となりました。
お次は長田兄弟

少しだけタチウオやって、中盤以降は沖へ走って青物&マダイ

シラスナブラに苦戦しましたが、キャスティングメインで楽しい釣行となりました☆
お次も沖

爆風予報だったんで、風が強くなる前に青物狙って、ヤバそうになった瞬間逃げかえってタチウオやりました。
もうチョット沖で青物やりたかったですね~

おわり。
お次は初ゲストと沖

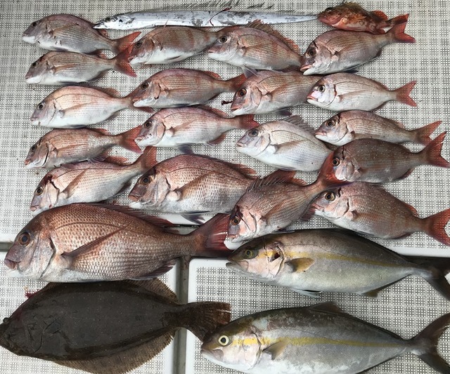
マダイは少なくなった感じですね!
また再熱するのでしょうか?
逆に青物は良くなってる感じです。

ワラサかと思う程に引いたシオ!いや、カンパチと呼ぼう(笑)
今季最高サイズでした。
タチウオはホントにありがたい!

近場だし、簡単に釣れてくれるんで、釣果が賑やかになります。

おわり。
最近、爆釣継続中だった小島さん

今回は潮が全く動かず、久々に苦戦しました。
そんな中、タチウオは必ず癒してくれる

ホントにありがたい(^_^)ニコニコ
最近、釣りに大ハマりのようです。
この日も沖に向かって走りましたが、いつも行くエリアは大荒れで釣りが成立しそうになかったんで、ウネリの無いエリアに移動する事にしました。
移動先は波も風も少なく、鳥も飛んでて、とてもイイ感じ!
「これは絶対に釣れる!」
そんな話をおじさんとしながらジグをぶっこんで見ると・・・

ブリにワラサにカンパチと
凄まじい活性の青物達!

ちなみにおじさんはスーパーライトなタックルしか用意してなかったんで(笑)
魚を掛けた瞬間から壮絶なファイトが始まる!

ゲストはおじさん一人だったんで、私も思いっきり釣りしました('▽'*)ニパッ♪
PE0.8号でリーダー14ポンド
ロッドはパイレーツで3000円で買った餌釣り用の黄色いオモチャみたいなヤツ
これは私のマダイ専用タックルになってたんだけど
青物の入れ食い時に使用するタックルじゃないですね(笑)

スーパーライトなタックルで二人してドラグをジャージャー出しながら楽しんでいました☆
もしかしたら、こういったタックルだから魚が良く掛かったのかも知れませんが、
多分、ゴツいタックルでも食ったでしょうね。

シオも肥り過ぎて、凄い体高の個体ばかりでした。
二人で空が暗くなるまで遊んで凄まじい釣果☆

もしも人数が4人とかでタックルもしっかりしたモノを使ってたら、とんでもない釣果になってたでしょう!
でも、おじさんと二人で遊んで楽しめたし、持ち帰れない程の釣果だったんで、コレでヨシです☆
お次は、
私自身、久々の衣浦シーバスガイド
シーバスシーズン真っ盛りなんで、久々の出船でも不安はありませんでした。
(大島キャプテンに状況を聞いてたし)
早速、ゲストにキャストしてもらうと・・・
こんな感じ(笑)

デカいのから小さいのまでシーバスは沢山いました!
今日は超久々のゲスト
トップガンに来てくれるのは約8年ぶり

昔、何度も来てくれたゲスト
ルアー釣りも久々だそうで、最初はキャストに戸惑っていましたが、次第にコツを掴み
「やっぱり釣りは楽しいね!」と喜んでくれました☆

クロダイもミノーにアタック!
それにしても、この日はドデカイ魚が多かった!
60~70クラスどころか80センチクラスも良く掛かりました。

このような柱だらけのポイントでモンスターシーバスを掛けると、取り込みはかなり難しい。
ドラグが緩いと走られて柱に根擦れでラインブレイクするし、ドラグが強いとフックが折れたり曲がったり、シーバスの口が切れたり・・・

70センチまでは何匹か獲れましたが、
それ以上のサイズは、この一本だけ獲れました。

あとは逃げられた(`Д´) ムキー!
悔しい思いを何度もしましたが、熟練ゲストのお陰で素晴らしい釣果!

サイズも素晴らしく、シーバスシーズン最高潮!って感じでした。

おわり。
お次は沖の釣果に戻りまして
天狗堂ジギング教室

結果から言うと、今回も良く釣れて、上杉君は良く頑張った!w

ハマチはシラス食ってる時、リアクションで食わす為にヤケクソでジグを巻かないと中々食わないんで、ある程度釣りをやってる人以外は難しかったです。
それでもボイルしてたんで、けっこう釣れた!

マダイはイマイチで
タチウオは相変わらずスッゲー釣れる!

時間いっぱいコレだけ狙ってたら、バカ釣れでしょうね(o^∇^o)ノ

ジギング入門には最適なターゲットです。
けっこうな波で、慣れない皆さんも大変だったようですが

終わってみれば今回も良い釣果となりました。
お次は長田兄弟

少しだけタチウオやって、中盤以降は沖へ走って青物&マダイ

シラスナブラに苦戦しましたが、キャスティングメインで楽しい釣行となりました☆
お次も沖

爆風予報だったんで、風が強くなる前に青物狙って、ヤバそうになった瞬間逃げかえってタチウオやりました。
もうチョット沖で青物やりたかったですね~

おわり。
お次は初ゲストと沖

マダイは少なくなった感じですね!
また再熱するのでしょうか?
逆に青物は良くなってる感じです。

ワラサかと思う程に引いたシオ!いや、カンパチと呼ぼう(笑)
今季最高サイズでした。
タチウオはホントにありがたい!

近場だし、簡単に釣れてくれるんで、釣果が賑やかになります。

おわり。
最近、爆釣継続中だった小島さん

今回は潮が全く動かず、久々に苦戦しました。
そんな中、タチウオは必ず癒してくれる

ホントにありがたい(^_^)ニコニコ














































































