チームトップガン衣浦
2022年03月
3月
22
春の風
この冬はここ数年で比べても寒かったし、海が荒れる日も多く、魚も見失う事も多くw
容赦ない冷たい風に吹きさらされ辛い冬でした。
でも最近の風は慈悲があるw春の風が吹くようになりました☆
と同時に、沖ではマダイの雰囲気が出始め、衣浦湾内にはシーバスが戻って来て、暗く長いトンネルの向こうに光が見えた感じです(´∀`*)
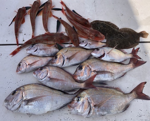
この日は天狗堂の上杉君が主催するマダイ狙い釣行会
まだシーズン開幕とは思えない時期ですが、
やり通してみたら意外と釣れた!
水深も浅いところで普通のアタリがあったんで、
春の気配を感じる事が出来ました。
ホウボウ等の嬉しい外道も健在ですね
シーバスも開幕!
2月の間、シーバスの予約は基本的に断っていましたが、そろそろ良いか?と思い出船してみたところ
けっこう良いサイズのシーバス達がいました!
Biteが浅くて中々ルアーに食い込まなかったけど、アタリの数は多くて楽しめました☆
続いて
デカいシーバス!
真冬には釣れないサイズが、いつのまにか衣浦湾に入ってました!
今後はサイズも数も望めるようになるでしょう。
衣浦湾の春シーバス開幕ですね☆
続いて沖の青物
簡単に釣れる日はホントにありがたい(´∀`*)
全然釣れない日もあるので怖いです。
青物もそろそろ終わりでしょうから
今後はマダイ狙いにを頑張っていきたいです。
記事検索
最新記事
出れれば勝ち確?
全部赤⭐️
天国か地獄か?
衣浦シーバス数釣りシーズン
あけましておめでとうございます! キャプテンしゅう
最近は感謝ばかり☺️
✨️勝負は1時間✨️ キャプテン永坂
伊勢湾のタイラバ事情
限界ギリギリ⭐️
✨️どちらも好調ですよ🎣✨️ キャプテン永坂
月別アーカイブ
2026年01月
2025年12月
2025年11月
2025年10月
2025年09月
2025年08月
2025年07月
2025年06月
2025年05月
2025年04月
2025年03月
2025年02月
2025年01月
2024年12月
2024年11月
2024年10月
2024年09月
2024年08月
2024年07月
2024年06月
2024年05月
2024年04月
2024年03月
2024年02月
2024年01月
2023年12月
2023年11月
2023年10月
2023年09月
2023年08月
2023年07月
2023年06月
2023年05月
2023年04月
2023年03月
2023年02月
2023年01月
2022年12月
2022年11月
2022年10月
2022年09月
2022年08月
2022年07月
2022年06月
2022年05月
2022年04月
2022年03月
2022年02月
2022年01月
2021年11月
2021年10月
2021年09月
2021年08月
2021年07月
2021年06月
2021年05月
2021年04月
2021年03月
2021年02月
2021年01月
2020年12月
2020年11月
2020年10月
2020年09月
2020年08月
2020年07月
2020年06月
2020年05月
2020年04月
2020年03月
2020年02月
2020年01月
2019年12月
2019年11月
2019年10月
2019年09月
2019年08月
2019年07月
2019年06月
2019年05月
2019年04月
2019年03月
2019年02月
2019年01月
2018年12月
2018年11月
2018年10月
2018年09月
2018年08月
2018年07月
2018年06月
2018年05月
2018年04月
2018年03月
2018年02月
2018年01月
2017年12月
2017年11月
2017年10月
2017年09月
2017年08月
2017年07月
2017年06月
2017年05月
2017年04月
2017年03月
2017年02月
2017年01月
2016年12月
2016年11月
2016年10月
2016年09月
2016年08月
2016年07月
2016年06月
2016年05月
2016年04月
2016年03月
2016年02月
2016年01月
2015年12月
2015年11月
2015年10月
2015年09月
2015年08月
2015年07月
2015年06月
2015年05月
2015年04月
2015年03月
2015年02月
2015年01月
2014年12月
2014年11月
2014年10月
2014年09月
2014年08月
2014年07月
2014年06月
2014年05月
2014年04月
2014年03月
2014年02月
2014年01月
2013年12月
2013年11月
2013年10月
2013年09月
2013年08月
2013年07月
2013年06月
2013年05月
2013年04月
2013年03月
2013年02月
2013年01月
2012年12月
2012年11月
2012年10月
2012年09月
2012年08月
2012年07月
2012年06月
2012年05月
2012年04月
2012年03月
2012年02月
2012年01月
2011年12月
2011年11月
2011年10月
2011年09月
2011年08月
2011年07月
2011年06月
2011年05月
2011年04月
2011年03月
2011年02月
2011年01月